Plot for sale • 917 m² without real estateJahnstraße 14, , Hesse
For sale is an attractive building plot in a quiet residential area in Alsbach-Hähnlein (Alsbach district) at Jahnstraße 16. The plot is located in a well-maintained setting surrounded by single- and two-family homes with spacious gardens and plenty of greenery – ideal for families, couples, or property developers who want to live close to nature while still enjoying good connections.
Development potential (according to the building authority):
• Building window: approx. 14 × 17 m (≈ 270 m² ground area)
• Floors: 1–2 full floors
• Plot Coverage (GRZ): 0.3
• Floor Space Index (GFZ): 0.6
• Roof types / roof pitch:
• Gable roof / hip roof: up to a maximum of 35°
• Flat roof / shed roof: up to a maximum of 10°
This means the plot offers excellent conditions for a customized development – for example, a single-family house, a semi-detached house, or even a multigenerational concept, depending on the planning.
Inspiration:
There is a draft plan (not submitted) for building a semi-detached house, which can serve as inspiration for its use (see pictures).
Note: The information provided is based on details from the building authority; a binding clarification is made through the development plan/building inquiry.
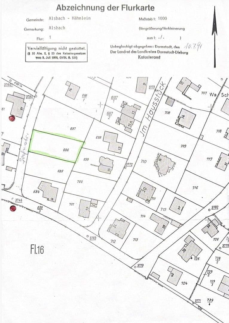
Parcel 1, Plot 686 = approx. 913 sqm
The plot is situated on a hillside with a western orientation in the southern part of the Alsbach-Hähnlein municipality, in immediate proximity to vineyards. Jahnstraße is a quiet local road in a pleasant residential area primarily consisting of single- and two-family homes with large gardens and plenty of green space.
The surroundings are ideal for those who appreciate peace and nature: fields, paths, and green spaces are practically at your doorstep – perfect for walks, jogging, and cycling. At the same time, shopping opportunities, daycare centers, schools, doctors, and other infrastructure in Alsbach-Hähnlein and neighboring towns are easily accessible.
Thanks to its good regional connectivity, the location is also attractive for commuters heading towards Darmstadt / Rhein-Main / Rhein-Neckar.
Property characteristics
| Listing ID | 988263 |
|---|---|
| Price per unit | €1,254 / m2 |
| Land space | 917 m² |
|---|
What does this listing have to offer?
| MHD 5 minutes on foot |
What you will find nearby
Still looking for the right one?
Set up a watchdog. You will receive a summary of your customized offers 1 time a day by email. With the Premium profile, you have 5 watchdogs at your fingertips and when something comes up, they notify you immediately.







