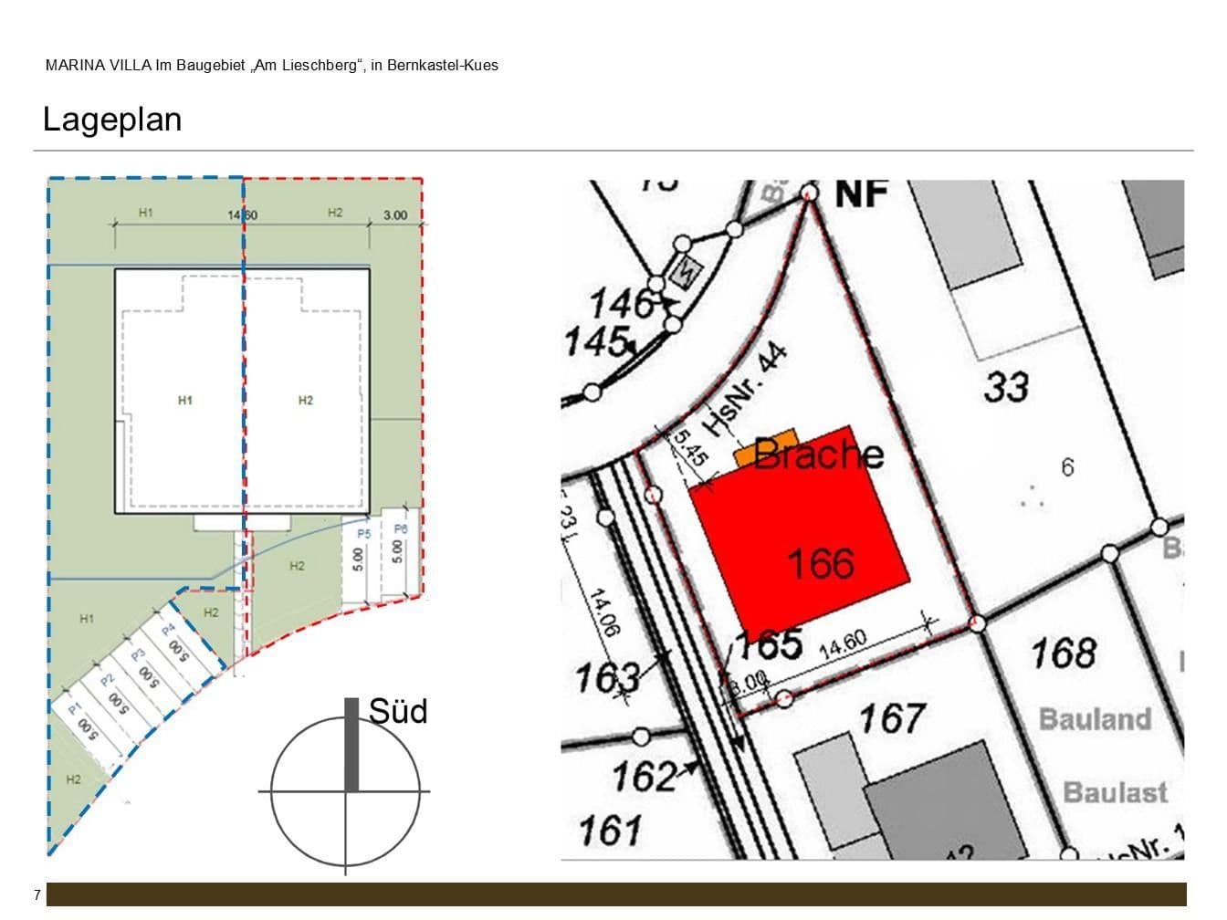
Flat for sale 3+1 • 136 m² without real estateAm Lieschberg 44, , Rhineland-Palatinate
Am Lieschberg 44, , Rhineland-PalatinatePublic transport 8 minutes of walking • ParkingModern residential complex is being built in a flood-free location, directly facing the Kueser Harbor, and thus in a unique and special position in Bernkastel-Kues.
DESIGN
An architectural masterpiece created by a renowned team of architects.
Modern designs featuring forms that project and recede—with some elements appearing to float in the air—structure the façade and lend it an almost delicately light appearance.
LIVING VALUES
The town of Bernkastel-Kues is the heart of the Middle Moselle, a state-recognized climatic spa and the cultural center of the region. Thanks to its picturesque setting on the Moselle and its surrounding, varied countryside, the town offers excellent recreational opportunities. Tourism is the strongest economic sector in Bernkastel-Kues.
INFRASTRUCTURE
- Kindergartens, elementary school, secondary school, and grammar school
- Viticulture school, Cusanus University
- Supermarkets: REWE, Netto, Lidl, Aldi, Norma, Edeka
- All everyday shops including a drugstore
- Banks, pharmacies, post office, specialist doctors
- Workshops, car wash, gas station, vehicle registration office
- Hospital, clinics or rehab centers, specialist doctors
- Historic cultural sites, Landshut Castle, the old town of Bernkastel
- Famous events such as the Christmas market, wine festival, etc.
- Hahn Airport 25 km away, Luxembourg Airport 78 km away
- Trier 34 km, Koblenz 112 km, Luxembourg border 63 km away
RECREATIONAL AMENITIES
- The largest marina on the Middle Moselle
- Nationwide famous bicycle and hiking trails
- Boat and bicycle rental
- Tennis club, outdoor and indoor swimming pool, mini-golf, community activities
The fittings include high-quality materials and components from German manufacturers. The windows, facing the harbor and the Moselle, are designed as floor-to-ceiling PVC windows. All rooms are equipped with underfloor heating, which is individually controlled by room thermostats.
FEATURES
- South terrace with views of the Moselle and the harbor
- Panoramic vistas provided by floor-to-ceiling window elements
- Modern daylight bathrooms with level-entry showers
- Thermal insulation glass with triple glazing
- Windows with enhanced burglary protection
- Electrically controlled external shutters and roller blinds
- Heating provided by an efficient heat pump system
- Optional large-format tiles and painter’s non-woven wallpapers
- Optional installation of an elevator and PV system possible
- Optionally eligible for KfW 40 funding
YOUR ADVANTAGES
- Private sale – NO COMMISSION –
- Option for a KfW-Efficiency House 40
- Absolutely PRIME LOCATION
Property characteristics
| Age | Over 5050 years |
|---|---|
| Layout | 3+1 |
| EPC | A - Extremely economical |
| Price per unit | €3,668 / m2 |
| Condition | New-build |
|---|---|
| Listing ID | 995456 |
| Usable area | 136 m² |
What does this listing have to offer?
| Balcony | |
| Basement | |
| MHD 8 minutes on foot |
| Wheelchair accessible | |
| Parking | |
| Terrace |
What you will find nearby
Still looking for the right one?
Set up a watchdog. You will receive a summary of your customized offers 1 time a day by email. With the Premium profile, you have 5 watchdogs at your fingertips and when something comes up, they notify you immediately.








