Plot for sale • 362 m² without real estateVon-Nagel-Str./Zum Sundern/Goldbrink, , North Rhine-Westphalia
Von-Nagel-Str./Zum Sundern/Goldbrink, , North Rhine-WestphaliaPublic transport 1 minute of walkingAre you looking for a plot for your dream semi-detached or duplex home? We have the perfect offer for you!
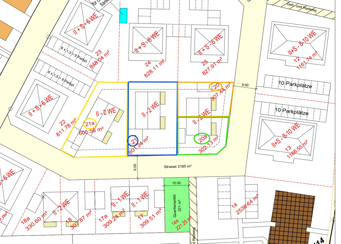
We are offering 4 plots in Oelde on the former Hammelmann site, ideal for building two semi-detached houses and one duplex, or alternatively 2 halves of a duplex. The plots are:
- Plot 20: DUPLEX HALF approx. 307 m² - Price: EUR 112,500
- Plot 20a: DUPLEX HALF approx. 302 m² - Price: EUR 112,500
- Plot 21: SEMI-DETACHED HOUSE approx. 601 m² - Price: EUR 210,000
- Plot 21a: SEMI-DETACHED HOUSE approx. 606 m² - Price: EUR 198,800
Features:
- Ready for construction
- Zoning plan available
- Including building permit (in process)
- Purchase directly from the owner
- No developer obligation
If you are interested in one of the plots, do not hesitate to contact us. We look forward to your inquiry!
The plots are located in a quiet and popular residential area with good access to the city and the surrounding communities.
If desired, your dream home can be built turnkey.
Property characteristics
| Available from | 14/03/2026 |
|---|---|
| Land space | 362 m² |
| Listing ID | 991849 |
|---|---|
| Price per unit | €311 / m2 |
What does this listing have to offer?
| MHD 1 minute on foot |
What you will find nearby
Still looking for the right one?
Set up a watchdog. You will receive a summary of your customized offers 1 time a day by email. With the Premium profile, you have 5 watchdogs at your fingertips and when something comes up, they notify you immediately.
