Commercial property to rent • 670 m² without real estate, Baden-Württemberg
, Baden-WürttembergPublic transport 2 minutes of walkingBelow is the English translation of the text:
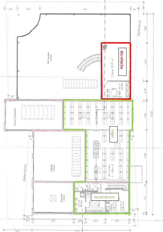
Leased is an approximately 275 m² large workshop including 188 m² of storage space, as well as 42 m² of social rooms and a 167 m² modern, light-flooded, and furnished reception area in the commercial area of Achern.
Highlights:
• Visually appealing: A modern and well-maintained building that stands out visually with floor-to-ceiling glazing and offers plenty of daylight.
• Furnishings: Move in worry-free – high-quality equipment is included in the rent: six lifting platforms, a tire mounting and balancing machine, storage shelves and storage workstations, an axle measurement device, a safe, a counter with three workstations, built-in cabinets, TV as well as a kitchenette, a furnished break room, and a couch.
• Air conditioning: The building is equipped with a modern air conditioning system.
• Security features: Video surveillance is available throughout the entire exterior area.
• Energy supply: A photovoltaic system will soon be installed to reduce your electricity costs.
• Transportation connections: Very good access to the traffic network – in just five minutes by car you can reach the highway towards Karlsruhe / Basel.
• Proximity to the city center: Short distances to Achern’s city center – everything you need is nearby.
• Expandable with retail space: Adjacent to the workshop is an additional 220 m² office and retail space (marked in red on the floor plan), which can optionally also be rented.
• Flexible workshop configuration: The workshop is divisible and can also be rented in smaller units.
• Storage and reception area: Large storage area and reception area including a high-quality service counter. Storage space for tires can optionally be rented.
The workshop is in very good condition.
Ten parking spaces are included in the rent when leasing the entire workshop. Additional parking spaces, as well as charging stations, can be added optionally for an extra fee.
No brokerage fee is charged.
For further information or to arrange a viewing appointment, please contact us.
We look forward to your inquiry!
Achern has about 25,000 inhabitants and is therefore a medium-sized town. The town is known for its picturesque location at the foot of the Black Forest and offers a high quality of life. Due to its central location in southwest Germany, in close proximity to the larger cities of Karlsruhe and Strasbourg, Achern benefits from excellent transport links and is highly attractive for companies. Its proximity to highways and international airports, particularly Karlsruhe/Baden-Baden Airport, makes Achern easily accessible for companies of regional significance.
Another important aspect of Achern is its good connection to public transportation. The town is located on the rail line from Karlsruhe to Freiburg, which enables quick access to other cities.
Overall, Achern offers a dynamic and growing economic environment that provides excellent perspectives for both large companies and small and medium-sized businesses. The combination of a favorable location, good infrastructure, and a variety of industries makes the town an important economic hub in the region.
Property characteristics
| Available from | 01/10/2025 |
|---|---|
| Listing ID | 985500 |
| Price per unit | €9 / m2 |
| Condition | Good |
|---|---|
| Land non-residential space | 670 m² |
What does this listing have to offer?
| MHD 2 minutes on foot |
What you will find nearby
Still looking for the right one?
Set up a watchdog. You will receive a summary of your customized offers 1 time a day by email. With the Premium profile, you have 5 watchdogs at your fingertips and when something comes up, they notify you immediately.









