This listing is no longer active
House for sale • 340 m² without real estatePod Česačkou, Krušovice - Krušovice, Středočeský Region
Pod Česačkou, Krušovice - Krušovice, Středočeský RegionProdej Rodinného domu s obrovským potenciálem!
Hledáte dům, který nabízí neomezené možnosti rozšíření a zhodnocení? Nabízím k prodeji podsklepený rodinný dům s jedinečnou variabilitou úprav, jedná se o prodej přímo od majitele, neplatíte tedy žádné poplatky realitní kanceláři.
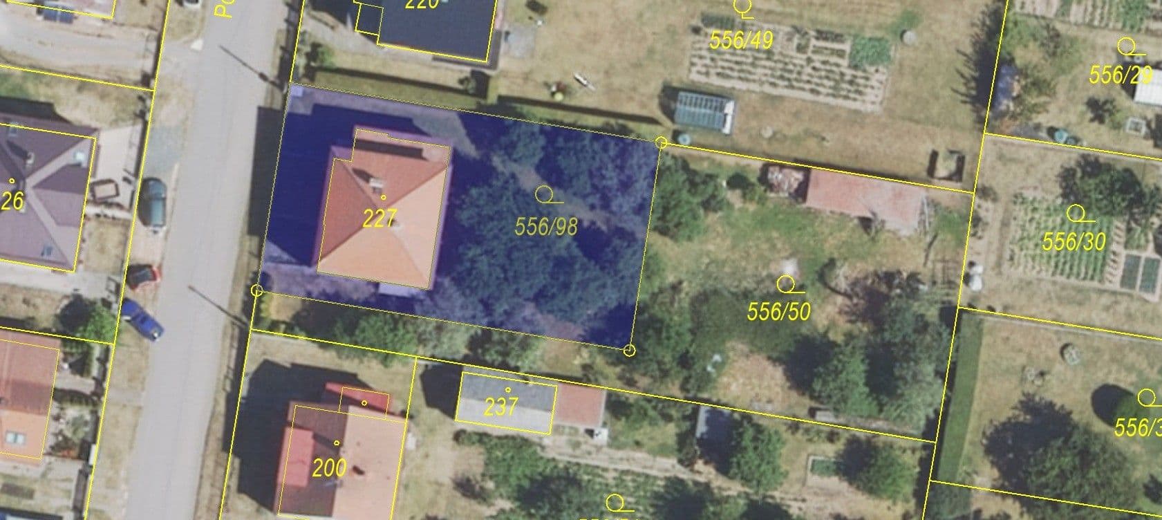
Dům se skládá ze dvou podlaží a suterénu. V 1. nadzemním podlaží (1.NP) naleznete tři samostatné pokoje, kuchyni, špajz, koupelnu, WC a předsíň/verandu. Ve 2. nadzemním podlaží (2.NP) se nachází další tři pokoje, kuchyně, špajz, chodba, předsíň, a navíc terasa a balkon. Celý dům je podsklepený (1.PP), kde je k dispozici garáž, kotelna, prádelna a tři skladovací/sklepní místnosti.
Dům nabízí obrovský potenciál pro úpravy: jednoduchou úpravou lze snadno vytvořit dvě plnohodnotné a oddělené bytové jednotky, ideální pro vícegenerační bydlení nebo k pronájmu. Dále je možné obytné patro propojit s prostorným půdním prostorem a vybudovat tak neobvyklý a velkorysý mezonetový byt. Nabízí se zde také možnost přístavby terasy s přímým vstupem z obýváku, která zajistí krásný výhled do okolí a přímý vstup na zahradu. Dům nabízí několik variant úpravy a vysoký investiční potenciál.
Nejlepší představu si uděláte na místě. Zavolejte si pro termín prohlídky. Zajistím Vám výhodné financování. Doporučuji.
Property characteristics
| Available from | 19/11/2025 |
|---|---|
| Building construction | Brick |
| Fully furnished | Unfurnished |
| Ownership | Personal |
| Location of the house | Separate |
| Land space | 652 m² |
| Condition | Before reconstruction |
|---|---|
| Layout | Other |
| Listing ID | 966564 |
| EPC | G - Extremely uneconomical |
| Usable area | 340 m² |
| Price per unit | CZK 15,574 / m2 |
What you will find nearby
Still looking for the right one?
Set up a watchdog. You will receive a summary of your customized offers 1 time a day by email. With the Premium profile, you have 5 watchdogs at your fingertips and when something comes up, they notify you immediately.
















