Commercial property to rent • 670 m² without real estate, Baden-Württemberg
, Baden-WürttembergPublic transport 2 minutes of walkingRented is an approximately 275 m² workshop including 188 m² of storage space, as well as 42 m² of social areas and a 167 m² modern, light-filled, and furnished receiving area in the Achern industrial zone.
Highlights:
• Visually appealing: A modern and well-maintained building that stands out visually with floor-to-ceiling glazing and offers plenty of daylight.
• Furnishings: Move in worry-free – high-quality equipment including six lifting platforms, tire mounting and balancing machine, storage shelves and workstations, axle measurement device, safe, counter with three workstations, built-in cabinets, TV, kitchen unit, a furnished break room with a sofa included in the rental price.
• Air conditioning: The building is equipped with a modern air conditioning system.
• Security features: Video surveillance is installed throughout the entire exterior area.
• Energy supply: A photovoltaic system will soon be installed to reduce your electricity costs.
• Transportation links: Very good connection to the transport network – in just a five-minute drive you can reach the highway towards Karlsruhe / Basel.
• Proximity to the town center: Short distances to the center of Achern – everything you need is nearby.
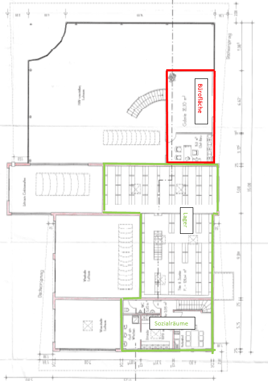
• Expandable with retail space: Adjacent to the workshop is an additional 220 m² office and retail space (marked in red on the floor plan), which can optionally be rented as well.
• Flexible workshop layout: The workshop can be divided and rented in smaller units.
• Storage and receiving area: Spacious storage and receiving area with a high-quality service counter included. Storage areas for tires can optionally be rented.
The workshop is in very good condition.
Ten parking spaces are included in the rental price when renting the entire workshop.
Additional parking spaces and charging stations can optionally be added at an extra charge.
No broker’s fee applies.
For further information or to arrange a viewing appointment, please contact us.
We look forward to your inquiry!
Achern has approximately 25,000 inhabitants and is therefore a medium-sized town. The town is known for its picturesque location at the foot of the Black Forest and offers a high quality of life. Due to its central location in southwestern Germany, in close proximity to the larger cities of Karlsruhe and Strasbourg, Achern benefits from excellent transport connections and high appeal for businesses. With its proximity to highways and international airports, particularly Karlsruhe/Baden-Baden Airport, Achern is easily accessible for companies of overregional importance.
Another important aspect of Achern is its good public transport connections. The town lies on the railway line from Karlsruhe to Freiburg, which enables quick access to other cities.
Overall, Achern offers a dynamic and growing economic environment that provides excellent prospects for large companies as well as small and medium-sized enterprises. The combination of an advantageous location, good infrastructure, and diverse industries makes the town a significant economic hub in the region.
Property characteristics
| Available from | 01/10/2025 |
|---|---|
| Listing ID | 959777 |
| Price per unit | €9 / m2 |
| Condition | Good |
|---|---|
| Land non-residential space | 670 m² |
What does this listing have to offer?
| MHD 2 minutes on foot |
What you will find nearby
Still looking for the right one?
Set up a watchdog. You will receive a summary of your customized offers 1 time a day by email. With the Premium profile, you have 5 watchdogs at your fingertips and when something comes up, they notify you immediately.









