
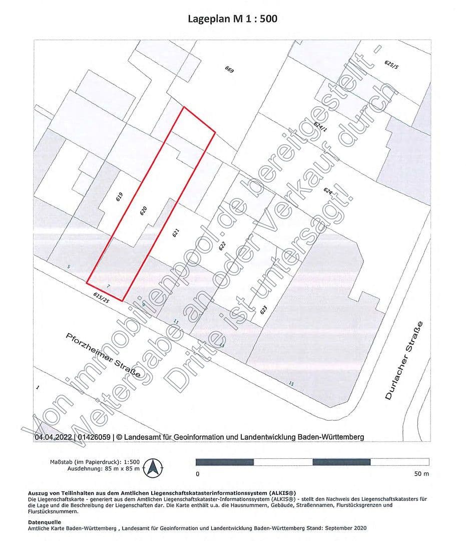
House for sale • 320 m² without real estatePforzheimerstraße 7, , Baden-Württemberg
For sale is an attractive residential land plot with an existing building in a prime location in Ettlingen.
The property offers high development potential for both capital investors and developers, as well as for private individuals – not least due to the already positively received preliminary building approval request – for adding additional floors, for demolition/partial demolition, and for the new construction of a residential complex including a courtyard building with a total of 8 possible residential units.
The building permit will be granted within the framework of adjacent building development according to Section 34 of the German Building Code (BauGB).
Best location in Ettlingen, right behind the city wall. Everything is within walking distance:
• 200m to the city center
• Bus & train connection at the nearest stop, “Erbprinz”
• Highway connection available
Currently, the property is NOT renovated. It is available for demolition and new construction (an approved preliminary building approval request is available) or for renovation. See the brochure, including the approved preliminary building request.
In addition to the top location in Ettlingen, this building offers attractive depreciation possibilities for every user (owner-occupancy or rental) and for any construction project (demolition, new construction, or renovation):
1. Demolition and New Construction
• QNG Standard: 10% depreciation opportunity for the first 4 years and 5% from the 5th year onward – which corresponds to a depreciation of 75% over 11 years.
2. Modernization
• The property is located in the designated redevelopment area of Schillerstraße/Pforzheimerstraße in Ettlingen, which provides high depreciation potential on the manufacturing costs.
• NOT A MONUMENT
• Renovation depreciation of 90% of the manufacturing costs over 11 years.
This package is further enhanced by the possibility of utilizing KfW’s low-interest loans (100–150K€ per residential unit) plus attractive repayment bonuses.
Additionally, with an energy certificate rating of "H", an extra repayment bonus of 10% can be applied for on top of the aforementioned incentives.
For detailed information, please see the brochure.
Property characteristics
| Age | Over 5050 years |
|---|---|
| Listing ID | 958440 |
| Usable area | 320 m² |
| Total floors | 3 |
| Available from | 26/10/2025 |
|---|---|
| EPC | G - Extremely uneconomical |
| Land space | 345 m² |
| Price per unit | €1,672 / m2 |
What does this listing have to offer?
| MHD 1 minute on foot |
What you will find nearby
Still looking for the right one?
Set up a watchdog. You will receive a summary of your customized offers 1 time a day by email. With the Premium profile, you have 5 watchdogs at your fingertips and when something comes up, they notify you immediately.




