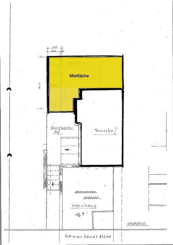
Commercial property to rent • 95 m² without real estateLübeck Holstentor Nord Schleswig-Holstein 23554
Lübeck Holstentor Nord Schleswig-Holstein 23554Public transport 1 minute of walking• Approximately 90 m² of ground-level storage space
• Directly adjacent to a residential house
• Separate, lockable access to the unit
• Entry through two doors from the courtyard
• No direct vehicle access – delivery possible via cart or pallet truck
• Optional: Parking space available for rent at €50 per month
• Rooms are dry and well-suited for use as storage/material storage/small parts shipping
• No representative use or customer traffic is planned
• Quiet location at the rear of the property
• Located in the St. Lorenz Nord district, Lübeck
• Directly on Schwartauer Allee (main traffic axis)
• Connection to the A1 (AS Lübeck-Centrum) in 5 minutes
• Central location, just a few minutes to the city center and the train station
• Bus stops within walking distance
• Surroundings: residential areas, small businesses, craftsmen, retail
• Property includes a residential house with an attached storage area
• Simple, functional facilities
• Electricity and lighting available
• Concrete floor, load-bearing and level
• Separate, lockable access door
• WC and a small kitchen in the unit
• No heating (cold storage)
• Optional parking space in front of the house: €50/month
• Dry room climate, suitable for storage purposes
• Ceiling height sufficient for shelving systems
A long-term rental agreement is sought.
Property characteristics
| Age | Over 5050 years |
|---|---|
| Condition | Good |
| Land non-residential space | 95 m² |
| Available from | 30/10/2025 |
|---|---|
| Listing ID | 953306 |
| Price per unit | €6 / m2 |
What does this listing have to offer?
| MHD 1 minute on foot |
What you will find nearby
Still looking for the right one?
Set up a watchdog. You will receive a summary of your customized offers 1 time a day by email. With the Premium profile, you have 5 watchdogs at your fingertips and when something comes up, they notify you immediately.



