
Plot for sale • 500 m² without real estatePolní, Lázně Bohdaneč - Lázně Bohdaneč, Pardubický Region
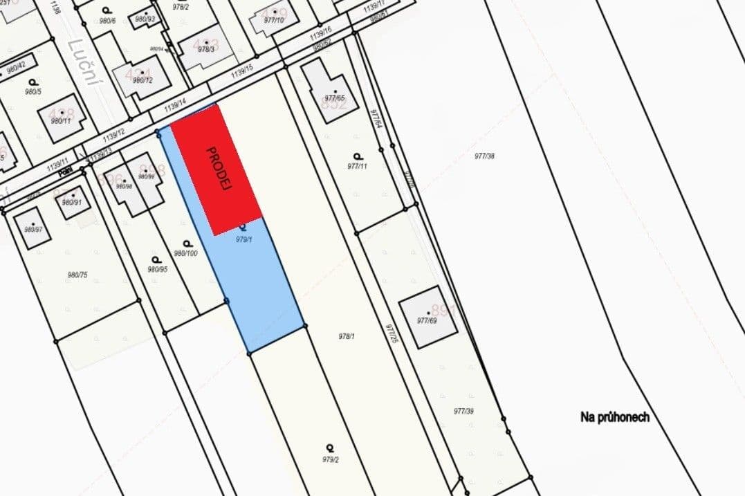
Nabízím k prodeji stavební pozemek o výměře cca 500 m² v atraktivní lokalitě Lázně Bohdaneč – ulice Polní.
Pozemek se nachází v klidné, již zastavěné části města, v sousedství rodinných domů. Má přímý přístup z veřejné komunikace a je určen k výstavbě rodinného domu.
📐 Parametry pozemku
výměra: cca 500 m²
tvar: pravidelný, vhodný pro výstavbu RD
přístup: přímo z ulice Polní
územní plán: plochy bydlení – rodinné domy
pozemek bude oddělen geometrickým plánem
🌳 Lokalita
Lázně Bohdaneč jsou vyhledávanou lokalitou díky klidu, lázeňskému prostředí a výborné dostupnosti do Pardubic.
Samozřejmostí je kompletní občanská vybavenost – školy, školky, obchody, restaurace i služby.
💰 Cena
7490 Kč/m²
(konečná cena dle dohody a přesné výměry po GP)
Property characteristics
| Available from | 05/04/2026 |
|---|---|
| Land type | Building |
| Land space | 500 m² |
| Listing ID | 1009123 |
|---|---|
| Ownership | Personal |
| Price per unit | CZK 7,490 / m2 |
What you will find nearby
Still looking for the right one?
Set up a watchdog. You will receive a summary of your customized offers 1 time a day by email. With the Premium profile, you have 5 watchdogs at your fingertips and when something comes up, they notify you immediately.





