Plot for sale • 504 m² without real estatePodhradí - Podhradí u Aše, Karlovarský Region
PRODEJ STAVEBNÍHO POZEMKU S PLATNÝM STAVEBNÍM POVOLENÍM
📍 Podhradí u Aše (Karlovarský kraj)
Nabízíme k prodeji stavební pozemek o velikosti 504 m² s platným stavebním povolením na rodinný dům. Ideální příležitost pro ty, kteří chtějí ihned začít stavět bez zdlouhavého vyřizování.
📌 Základní informace:
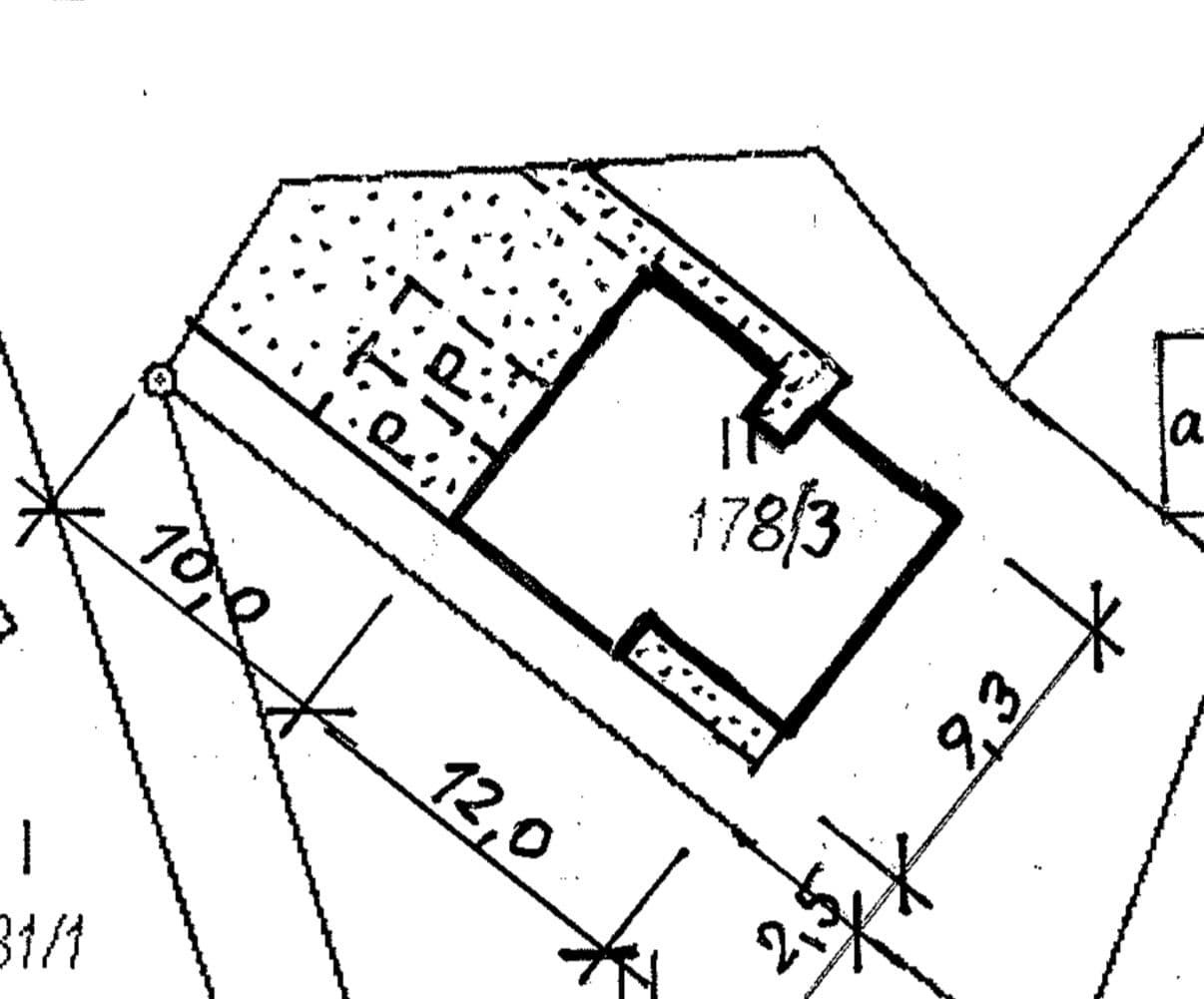
• Plocha pozemku: 504 m²
• Parcelní číslo: 178/3
• Katastrální území: Podhradí u Aše
• Určení: výstavba rodinného domu
✅ Stavební povolení vydáno (11/2025) 
🏠 Schválený projekt:
• Rodinný dům 3+kk
• Užitná plocha: 85,5 m²
• Rozměry: 12 × 9,3 m
• Jednopodlažní dům (bez sklepa)
• Terasa + parkovací stání
💡 Možnost realizace ihned nebo úpravy projektu dle vlastních představ
⚡ Inženýrské sítě:
• 💧 Vodovod – možnost napojení
• ⚡ Elektřina – k dispozici
• 🚽 Kanalizace – veřejná
• 🌐 Internet – dostupný (CETIN)
🌿 Výhody:
• Klidná lokalita na okraji obce
• Dobrá dostupnost
• Veškerá povolení a vyjádření již vyřízena
• Úspora času i nákladů na projektovou přípravu
🔥 Hlavní benefit:
👉 Možnost zahájit stavbu prakticky ihned
👉 Úspora až 12 měsíců vyřizování
Property characteristics
| Available from | 28/03/2026 |
|---|---|
| Land type | Building |
| Land space | 504 m² |
| Listing ID | 1006550 |
|---|---|
| Ownership | Personal |
| Price per unit | CZK 1,667 / m2 |
What you will find nearby
Still looking for the right one?
Set up a watchdog. You will receive a summary of your customized offers 1 time a day by email. With the Premium profile, you have 5 watchdogs at your fingertips and when something comes up, they notify you immediately.


