
This listing is no longer active
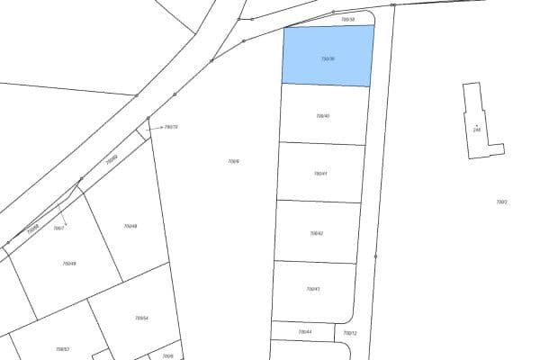
Plot for sale • 830 m² without real estateSukova, Hluboká nad Vltavou - Hluboká nad Vltavou, Jihočeský Region
Sukova, Hluboká nad Vltavou - Hluboká nad Vltavou, Jihočeský RegionHledáte ideální místo pro svůj nový domov? Máme pro vás jedinečnou příležitost!
Lokalita: Hluboká nad Vltavou - Zámostí
Velikost pozemku: 830 m²
Kompletní inženýrské sítě: Pozemek je již vybaven přípojkami elektřiny, vody, plynu a odpadu. Stačí začít stavět!
Soukromí: Pozemek má pouze jednoho přímého souseda, což zajišťuje maximální soukromí a klid.
Atraktivní lokalita: Hluboká nad Vltavou je známá svou krásnou přírodou a bohatou historií. V blízkosti najdete veškerou občanskou vybavenost, školy, obchody a sportovní zařízení.
Tento pozemek je ideální pro ty, kteří hledají klidné místo k životu s veškerým komfortem moderní infrastruktury. Nezmeškejte tuto jedinečnou příležitost a kontaktujte nás pro více informací nebo prohlídku pozemku.
Property characteristics
Available from | 22/02/2025 |
---|---|
Land type | Building |
Location | Quiet area |
Price per unit | CZK 7,300 / m2 |
Listing ID | 882329 |
---|---|
Ownership | Personal |
Land space | 830 m² |
What you will find nearby
Still looking for the right one?
Set up a watchdog. You will receive a summary of your customized offers 1 time a day by email. With the Premium profile, you have 5 watchdogs at your fingertips and when something comes up, they notify you immediately.